Supertajfun približava se Filipinima: Vlasti ga opisale kao "katastrofalan", evakuirano hiljade ljudi

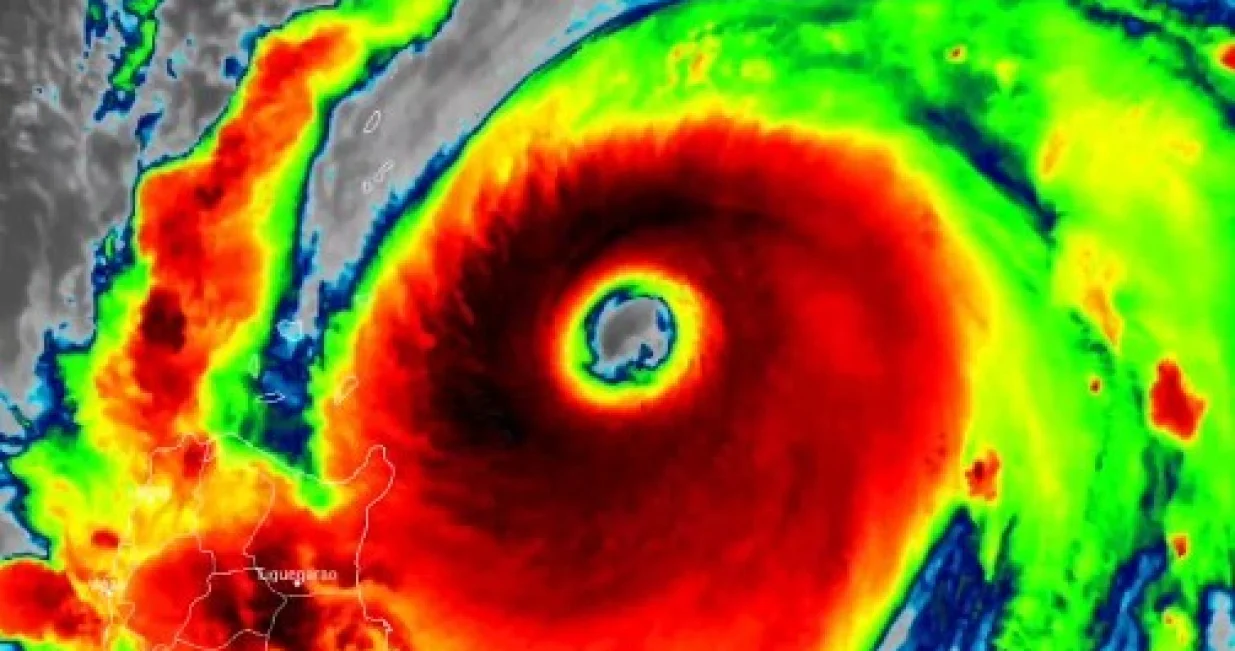
Približava se tajfun/X.com//
Približava se tajfun/X.com
Nastavak vijesti ispod promo sadržaja

Hiljade ljudi evakuirano je na Filipinima dok se zemlja priprema za supertajfun koji su regionalne vlasti opisale kao potencijalno "katastrofalan".

Supertajfun Ragasa, s udarima vjetra od 230 kilometara na sat, očekuje se da u ponedjeljak pogodi rijetko naseljene sjeverne otoke, prije nego što nastavi kretanje prema zapadu u pravcu južne Kine. Ragasa donosi visok rizik po život opasnog olujnog udara, s valovima višim od tri metra, saopćio je filipinski meteorološki zavod, piše BBC.

Škole i vladine kancelarije u velikom dijelu zemlje, uključujući glavni grad Manilu, zatvorene su, a vlasti su upozorile na poplave, klizišta i veliku štetu na kućama i infrastrukturi.

Nastavak vijesti ispod promo sadržaja

Udaljena ostrva Batanes i Babuyan, gdje se očekuje da će Ragasa pogoditi kopno, naseljava oko 20.000 ljudi, od kojih mnogi žive u siromaštvu. Ta ostrva nalaze se oko 740 kilometara južno od Tajvana, gdje je gotovo 300 ljudi evakuirano iz okruga Hualien na istoku. Iako se ne očekuje da će tajfun direktno pogoditi Tajvan, prognozira se jaka kiša na istočnoj obali.

Šumska područja i planinarske staze na jugu i istoku Tajvana zatvoreni su još od ponedjeljka ujutro, a neke trajektne linije obustavljene su. Supertajfun je ekvivalentan uraganu kategorije 5. Vlasti u kineskoj provinciji Guangdong savjetovale su stanovnike da se pripreme za katastrofu i veliku nesreću. Jake kiše i snažni vjetrovi očekuju se već u utorak, dva dana prije nego što oluja pogodi kopno.

U Hong Kongu vlasti su najavile da će se vremenske prilike naglo pogoršati u utorak, dok je tamošnji ured za obrazovanje saopćio da razmatra odluke o održavanju nastave. Ragasa, poznata lokalno na Filipinima kao Nando, dolazi u trenutku kada se jugoistočna azijska zemlja još oporavlja od sedmica teških poplava izazvanih neuobičajeno jakim monsunom.

Desetine hiljada ljudi protestovalo je širom zemlje u nedjelju protiv korupcije u vlasti, koju krive za ozbiljan nedostatak infrastrukture za kontrolu poplava, prenosi Fena.